LIMA

Biologia
Circa un centinaio di specie rappresentano la famiglia Monacanthidae, cioè quella dei pesci luna, famiglia "imparentata" con quella dei pesci palla, pesci istrice, pesci balestra e persino coi pesci lima, tutti uniti insieme sotto l'ordine Tetraodontiformes.
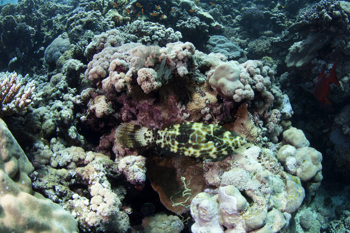
I pesci lima li riconosciamo per essere dotati di un corpo molto compresso tra i lati, con una sagoma dalla forma romboidale determinata dalla seconda pinna dorsale e dalla spina ventale, che è un raggio spinoso singolo particolarmente robusto che tende un lembo.
La bocca piccola è molto pronunciata con incisivi sporgenti e occhi fissi in alto. Le livree sono varie con una pelle vellutata al tatto anche se molto dura. La colorazione di fondo è tra il grigio e l'azzurro, con 3 - 4 strisce longitudinali giallo arancione o rosso arancione sul muso, circa 6 file longitudinali di macchie arancione orlate di scuro sul tronco e sul peduncolo caudale e una zona nera con piccole macchie lucenti orlate di azzurro nella regione delle pinne ventrali.
Le sue dimensioni vanno da pochi centrimenti fino quasi al metro di lunghezza della specie più grande che è Aluterus scriptus: il pesce lima ornato. Allo stato libero gli adulti vivono a coppie mentre i giovani in piccoli gruppi.

Profondità
Molte specie si nutrono di polipi dei coralli, o comunque di invertebrati bentonici, e questo in qualche modo li porta a non esser grandi profondisti. La maggior parte delle specie che conosciamo si distribuisce tendenzialmente entro i primi trenta metri di profondità, con qualche sporadico avvistamento di alcune specie fino a 60 - 80metri di profondità.

Curiosità
La prima curiosità di tutti i pesci lima, filefish come vengono chiamati in inglese, sta nella prima pinna dorsale, che si è fortemente modificata fino a diventare una sorta di spina erettile, usata in larga parte a scopo comunicazionale (come d'altra parte si può osservare nei pesci balestra con cui i pesci lima sono imparentati) ma,data la lunghezza e la possibilità di esser bloccata, probabilmente funziona anche a scopo difensivo. Recenetmente è stato osservata una stretta correlazione tra specie di pesci lima e loro alimentazione, come nel caso del pesce lima arlecchino Oxymonacanthus halli che è pressochè endemico del Mar Rosso e della parte più occidentale dell'Oceano Indiano e che si nutre esclusivamente di polipi del genere Acropora. Questa stretta specializzazione sembrerebbe fornire ai piccoli pesci lima, già bravi nella difesa attraverso il mimetismo, delle vere e proprie armi chimiche che usano per ridurre il loro tasso di predazione.

Avvicinamento e Osservazione
Grandi o piccoli che siano, i pesci lima tendono ad essere sfuggenti, timidi e a nascondersi bene, l'osservazione di questi esemplari necessita quindi di un avvicinamento lento e silenzioso, mai frontale e mai a cadere dall'alto, tutti segnali facilmente fraintendibili come atti di aggressione. Durante la notte molti esemplari sono osservabili vicino a gorgonie, alcionacei e madrepore molto ramficate intenti a riposare o ad alimentarsi. Comunque sia ricordatevi che la grossa differenza di dimensioni, fa si che siano sempre loro a sentirsi in soggezione; quindi se l'esemplare che avete individuato per una buona osservazione, o una foto, inizia a manifestare il comportamento di chi non vuole essere disturbato, rispettiamo il suo spazio e non cerchiamo di inseguirlo o stanarlo: di sicuro non ce la faremo ma avremo contribuito ad aumentare il livello di stress del povero pesce lima e di chi gli sta intorno.

Fotografare
Il pesce lima è un esemplare particolarmente timido e questa sua prerogativa fa si che sia abbastanza difficile da riprendere. Capita di incontrarlo molto spesso mentre nuota a ridosso della barriera oppure tra il cappello del reef e la superficie. Difficilmente avremo la possibilità di riprenederlo da fermo pertanto, dovremo essere abbastanza rapidi, una volta individuato l'esemplare, di organizzarci rapidamente, iniziare a seguirlo senza disturbarlo e appena possibile cominciare a scattare mantenendo una distanza che non sia di disturbo per il pesce. Naturalmente, viste queste difficoltà, l'obiettivo grandangolare ne limiterà il risultato dato che ci costringe ad avvicinarci al soggetto in modo sensibile mentre, un obiettivo di media focale, ci darà la possibilità di riprenderlo anche da una certa distanza. Tutte questi piccoli impedimenti non devono esimerci dal dover realizzare una bella immagine, sarà quindi importante studiare attentamente la composizione cercando di non lasciare isolato il soggetto ma al contrario, inserirlo in un contesto scenico adeguato. L'uso della luce del flash dovrà essere assemblato, ove possibile, con quella della luce esterna che ci garantirà un risultato migliore. La sua livrea non ci creerà nessun problema in quanto non è particolramente riflettente, si tratta solo di trovare la corretta esposizione e un colpo di flash che non sia troppo forte ma serva solo a modellare le forme del soggetto.

Esplora, Viaggia e Naviga con Noi