PAPPAGALLO RINOCERONTE

Biologia
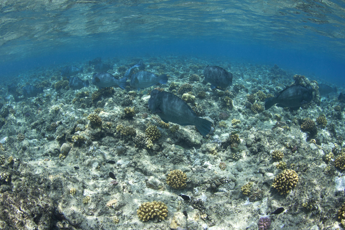
Pesce appartenente a una famiglia molto presente e riconoscibile sui reef, quella degli Scaridae o pesci pappagallo. Il Bolbometopon muricatum è sicuramente uno dei rappresentanti più impressionanti con i suoi 50 kg di peso per quasi un metro e mezzo di lunghezza. Profilo molto alto tra dorso e ventre, grigio opaco nella livrea giovanile, verde cupo da adulto col corpo ricoperto di grosse e vistose scaglie. Caratterizzato da una grossa protuberanza che cresce man mano che l'individuo diventa adulto.


Profondità
La sua distribuzione verticale di norma non lo porta oltre i 30 metri di profondità: da giovani frequentano spesso le acque poco profonde delle lagune, specie se con praterie di piante marine e alghe, da adulti li troviamo a volte proprio sulle piattaforme di reef più superficiali e sferzate dall'azione delle onde, dove la forte illuminazione fa crescere i tappeti algali oppure, quasi sempre in banchi, sul pendio del reef relegati a profondità dove la luce non è fattore limitante per la crescita rigogliosa delle alghe.

Curiosità
La specie, testone a parte cui deve il nome inglese di Humphead parrotfish, nasconde non poche curiosità: è indubbiamente la più grande specie di pesce pappagallo vivente, e al contempo l'unico rappresentante del genere Bolbometopon. Come gli altri pesci pappagallo è uno stretto pascolatore di alghe, che vengono grattate anche direttamente sulle madrepore grazie ai denti fusi in grosse piastre, che danno agli Scaridi il nome comune di pesci pappagallo. Le dimensioni e le esigenze alimentari di questi bestioni li portano a essere un importante elemento di "bioerosione del reef": studi abbastanza recenti hanno stimato in quasi 5 tonnellare di madrepore spaccate, sminuzzate e ingerite da un adulto in un anno per il reperimento di alghe. Considerando che il pappagallo rinoceronte può arrivare fino a circa 40 anni di vita, i conti sono impressionanti. Ma, importantissimo ricordarlo, la bioerosione ad opera di animali come il Bolbometopon e tanti altri è elemento naturale e importante per la vita stessa della comunità del reef.
Ben altri sono invece i danni prodotti da quell'animale strano che è l'essere umano.

Avvicinamento e Osservazione
Nonostante le dimensioni il pappagallo rinoceronte è un timido pascolatore che sicuramente fuggirà di fronte a un avvicinamento troppo rapido e deciso. Fatelo, o fateli visto che molto spesso si muovono in banchi che arrivano a superare anche i 70 individui, restando fermi e bassi sul reef (con attenzione a non danneggiare le madrepore) e vi verranno incontro permettendovi da prima la visione d'insieme del banco, per arrivare poi a poter osservare i dettagli di quei corpi che hanno "un non so che" di primordiale. Se non vi è ancora capitato di assistere ad un momento del genere, spero vi capiti presto, ma quando succederà, oltre all'osservazione concentratevi sull'ascolto di questi pesci, che mentre pascolano sul reef col le loro grosse piastre dentarie producono suoni che sono udibilissimi anche a diversi metri di distanza.

Fotografare
Il curioso pappagallo rinoceronte, non è il massimo della bellezza dal punto di vista estetico disponendo di una sagoma compatta e poco armoniosa soprattutto se osservato su un fianco. La situazione cambia il momento in cui ci si imbatte nel branco che nuota nel blu oppure mentre "pascolano" compatti sulla piattaforma del reef. Dal punto di vista tecnico la differenza tra incontrarli nel blu, o pochi centimetri sotto il pelo dell'acqua, sta nel diverso assorbimento della luce proveniente dall'esterno suula livrea del pesce.
Nel primo caso se la fortuna ci assiste, potremo incontrarli nella fascia tra i 5 e 10 metri laddove la luce esterna riesce a penetrare sufficientemente in modo da darci la possibilità di sfruttarla sia per il controluce sia come schiarita. Sarà spesso necessario un colpo di flash dato che la livrea ha un assorbimento notevole ma nel caso in cui non ci si trovi abbastanza vicino, si potrà tranquillamente scattare sfruttando la sola luce esterna. Nel caso invece di un incontro sulla parte superiore del reef e quindi pochi centimentri sotto la superficie, qui la luce proveniente dall'esterno sarà sufficiente ad illuminare il vostri soggetti senza fare uso del flash. In questo caso sarà necessario usare un tempo abbastanza veloce per evitare di realizzare una immagine mossa. Come sempre le ore migliori sono quelle in cui la luce illumina trasversalmente (mattino o pomeriggio) e non nelle ore contrali con la luce a picco. Il vero trucco per realizzare una immagine ben composta sarà quello di riuscire ad avvicinarsi il più possibile ai soggetti senza che questi si spaventino. Per questo bisogna avere un po' di pazienza e accostarsi con molta calma senza disturbare. Sicuramente l'uso di un buon grandangolo vi permetterà di realizzare immagini interessanti.

Testo di biologia curato da Emilio Mancuso (I.S.M. Istituto per gli Studi sul Mare)

Esplora, Viaggia e Naviga con Noi